Unusual 'Yellow Brick Road' Found At Bottom Of Pacific Ocean

"It’s as though we’ve stumbled upon the road to Atlantis."

The vast and mysterious expanse of the Pacific Ocean holds secrets that continue to captivate and puzzle scientists and adventurers alike. One of the most recent and unexpected discoveries occurred in the deep waters near the Hawaiian Islands, where an underwater exploration led to a find as stunning as it is intriguing—a rock formation that strikingly resembles the fabled yellow brick road of literary fame.

[ADVERTISEMENT]

This remarkable observation was made by the crew aboard the Exploration Vessel Nautilus, a ship operated by the Ocean Exploration Trust. During their mission, the scientists targeted the Lili'uokalani Ridge Seamounts, a lesser-known area of the ocean floor characterized by a series of underwater mountains.

[ADVERTISEMENT]

Their goal was to uncover more about the origin of these seamounts, which are scattered across the central and western Pacific, but whose formation processes remain poorly understood. As the remotely operated vehicle (ROV) descended into the ocean's abyss, the team was primarily focused on geological surveys and data collection.

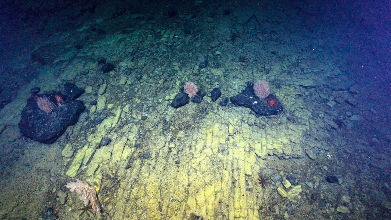
However, what they encountered far surpassed their standard expectations. Nestled at the ocean's depths, the ROV's cameras relayed images of what appeared to be a series of neatly arranged rectangular blocks forming a pathway—a sight that bore an uncanny resemblance to the iconic yellow brick road from "The Wizard of Oz."

The live footage of the discovery captured the crew's astonishment. One of the scientists exclaimed, reflecting the surprise and whimsy of the moment, "It’s as though we’ve stumbled upon the road to Atlantis." Queries and exclamations filled the control room as the team pondered whether they had found a magical path to a mythical land.

"This is absolutely bizarre! Are you kidding me? It’s just mind-boggling!" said another team member, their voice filled with disbelief and excitement. Despite its fantastical appearance, the explanation behind this geological phenomenon is grounded in solid scientific principles.

The formation, as highlighted in the video shared by the team on YouTube, is a result of ancient volcanic activity. Situated at the summit of Nootka Seamount, the so-called "yellow brick road" is a fractured flow of hyaloclastite rock.

Hyaloclastite is formed during explosive volcanic eruptions; it consists of fragmented rocks that settle and solidify on the seabed. Over time, heating and cooling stresses from subsequent eruptions can create sharp, angular formations, sometimes resulting in the block-like structures that dazzled the Nautilus crew.

The discovery not only adds a whimsical chapter to the story of ocean exploration but also underscores the importance of continuous study and surveillance of our planet's underwater landscapes. The peculiar formation provided valuable insights into the dynamic geological processes that shape our ocean floor.

More importantly, it highlights the unpredictability and wonder of marine science—an adventure where the boundaries between myth and reality can blur, creating moments of awe and scientific discovery.

Amazing

AmazingYouTube
[ADVERTISEMENT]

"Follow the 'Yellow Brick Road' to Geologic Features of Lili'uokalani Ridge Seamounts | Nautilus Live "

YouTube
[ADVERTISEMENT]

As the Ocean Exploration Trust continues to stream these deep-sea ventures, allowing public access to real-time exploration, each dive not only sheds light on the enigmatic nature of our oceans but also brings us closer to understanding the complex and fascinating world beneath the waves.

For those following along, every expedition promises new surprises, perhaps hidden along a mystical path that winds beneath the sea.

More articles you might like